1. ホーム
  2. 物件検索
  3. 物件詳細

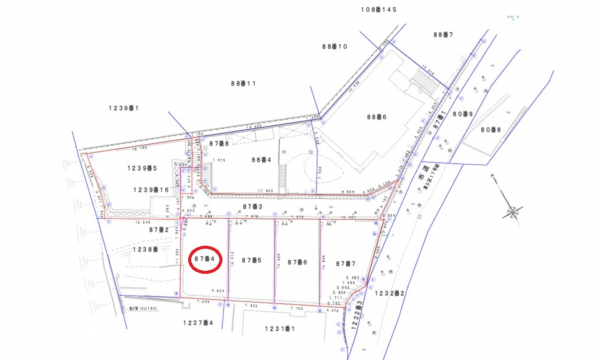
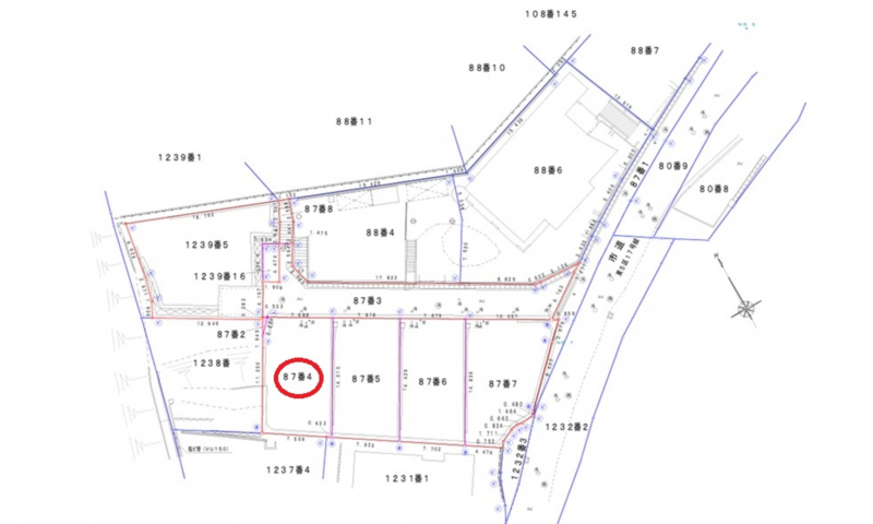
土地広島市東区山根町【NO.A】

1 /9

【間取り】

2,810万円

■広島駅まで徒歩圏内の住宅用地
◆お好きな建築業者様にて建築いただけます

物件概要

所在地
広島市東区山根町【NO.A】
価格
2,810 万円
交通

山陽本線 広島駅 まで 徒歩13分

接道状況
北東側 私道4m 間口約7.68m
土地面積
112.50㎡ (34.03坪)
建ぺい率
60%
容積率
160%
土地権利
セットバック
無し
小学校区
尾長 (173m)
中学校区
二葉 (262m)
私道負担
建築条件
なし
地目
宅地
現況
更地
引渡時期
相談 令和6年10月以降
上水道
公共
下水道
公共
ガス
都市ガス
都市計画
用途地域
2種中高
設備・条件
備考
▼お好きな建築会社で建築できます 
▼広島駅徒歩圏内の希少な住宅用地
▼給排水管および都市ガス管の引込あり
取引態様
仲介
周辺地図を確認する

(弊社管理番号: 1002623)

【更新日】2025年10月18日

【次回更新日】2026年02月18日

その他周辺物件

この物件は402の方が興味を持っています。

お気軽にご来店ください!SHOP

店舗外観

すみはる商店

〒732-0052 広島県広島市東区光町1丁目6-30-102

営業時間:10:00〜18:00 定休日:水曜日・祝日

広島市東区・南区・安芸区、安芸郡の不動産情報はすみはる商店へ

HPを見たと言って、お気軽にお問い合わせください!

0120-859-869 0120-859-869

〒732-0052 広島県広島市東区光町1丁目6-30-102
営業時間:10:00〜18:00 定休日:水曜日・祝日

店内写真