1. ホーム
  2. 物件検索
  3. 物件詳細

土地広島市東区戸坂山根3丁目

1 /2

【間取り】

950万円

・JR戸坂駅徒歩10分
・高台につき眺望良好
・建築条件なし
・古屋付き

物件概要

所在地
広島市東区戸坂山根3丁目
価格
950 万円
交通

バス停戸坂東浄団地 まで 徒歩6分

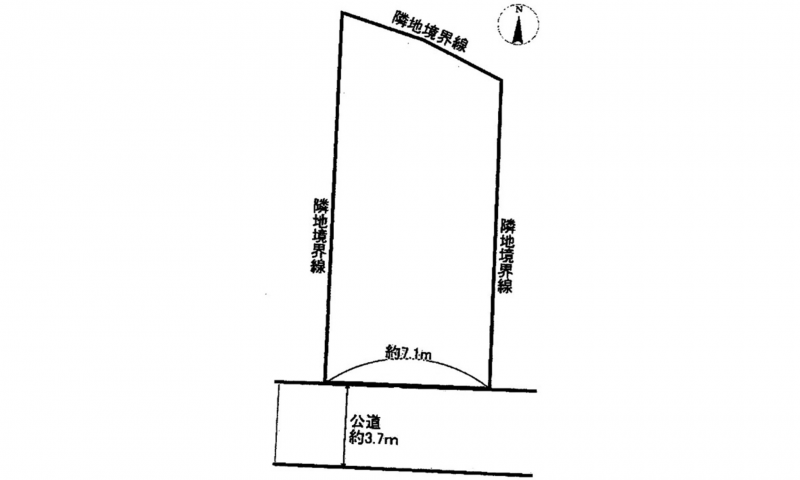
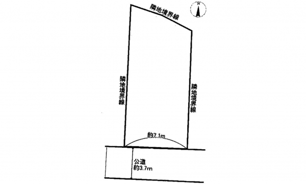
接道状況
南側 公道3.7m 間口約7.1m
土地面積
107.71㎡ (32.58坪)
建ぺい率
50%
容積率
100%
土地権利
セットバック
無し
小学校区
戸坂 (956m)
中学校区
戸坂 (2125m)
私道負担
建築条件
なし
地目
宅地
現況
上物有
引渡時期
即時
上水道
公共
下水道
公共
ガス
都市ガス
都市計画
用途地域
1種低層
設備・条件
備考
▼南向き日当たり良好
▼高台につき眺望良好
取引態様
仲介
周辺地図を確認する

(弊社管理番号: 1002979)

【更新日】2025年12月08日

【次回更新日】2026年05月08日

その他周辺物件

この物件は153の方が興味を持っています。

お気軽にご来店ください!SHOP

店舗外観

すみはる商店

〒732-0052 広島県広島市東区光町1丁目6-30-102

営業時間:10:00〜18:00 定休日:水曜日・祝日

広島市東区・南区・安芸区、安芸郡の不動産情報はすみはる商店へ

HPを見たと言って、お気軽にお問い合わせください!

0120-859-869 0120-859-869

〒732-0052 広島県広島市東区光町1丁目6-30-102
営業時間:10:00〜18:00 定休日:水曜日・祝日

店内写真