1. ホーム
  2. 物件検索
  3. 物件詳細

土地広島市安芸区中野東6丁目【B区画】

PRICE DOWN
1 /7

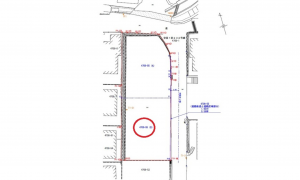
【間取り】

840万円

●日当たり良好●50坪以上●建築条件なし

物件概要

所在地
広島市安芸区中野東6丁目【B区画】
価格
840 万円
交通

山陽本線 中野東駅 まで 徒歩15分

バス停中野東七丁目 まで 徒歩10分

接道状況
北側 公道
土地面積
187.82㎡ (56.81坪)
建ぺい率
60%
容積率
200%
土地権利
セットバック
無し
小学校区
中野東
中学校区
瀬野川
私道負担
建築条件
なし
地目
現況
引渡時期
相談
上水道
下水道
ガス
都市計画
用途地域
2種中高
設備・条件
備考
取引態様
仲介
周辺地図を確認する

(弊社管理番号: 1003068)

【更新日】2026年04月19日

【次回更新日】2026年05月19日

その他周辺物件

この物件は35の方が興味を持っています。

お気軽にご来店ください!SHOP

店舗外観

すみはる商店

〒732-0052 広島県広島市東区光町1丁目6-30-102

営業時間:10:00〜18:00 定休日:水曜日・祝日

広島市東区・南区・安芸区、安芸郡の不動産情報はすみはる商店へ

HPを見たと言って、お気軽にお問い合わせください!

0120-859-869 0120-859-869

〒732-0052 広島県広島市東区光町1丁目6-30-102
営業時間:10:00〜18:00 定休日:水曜日・祝日

店内写真